Scuba diving was in my bucket list for years until I was finally able to cross it out (yey!). I was searching for blogs about scuba diving here in Cebu and I came across several bloggers who blogged about their scuba diving experience in Moalboal, one of the best diving sites in the country. I took note of the important details which we were able to use during our trip.
How we got there

After swimming with the Oslob Whale Sharks, we continued to travel by car to Santander-Samboan-Ginatilan-Malabuyoc-Alegria-Badian-Moalboal. The trip took about two hours.
If you will depart from Cebu City, you can go directly to Moalboal by car or bus from Cebu South Bus Terminal. Instead of the Carcar to Sibonga road, take the Carcar to Barili road straight to Moalboal. The trip will take 2 to 3 hours.
Where we stayed
From the main road in Moalboal, we went to Cabana Resort in Panagsama. Since it was peak season, we booked our room two weeks before our trip.


Nelson’s Scuba Diving School
This scuba diving school is owned by Vice Mayor Nelson Abenido. He has been in this business since the 80s. He and his staff were very warm and accommodating. 🙂 This is just a few steps from Cabana. You may reach him through this number for appointments: +639172767969
Scuba Diving
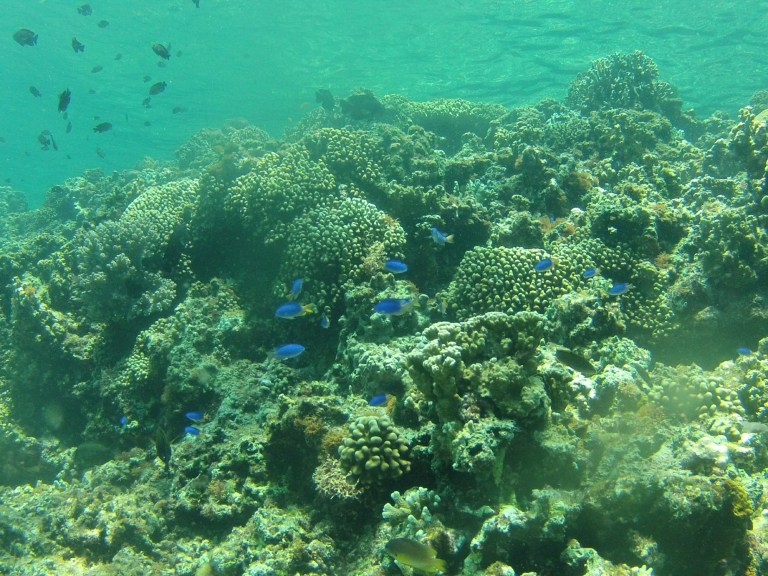
Since it was our first time, we took the Discover Scuba Diving Course for Php 2000 each (2 to 3 hours including the travel time from Panagsama to Pescador Island and vice versa, briefing and scuba diving). The fee covered the scuba diving gear, suit, guide and the boat. You can also rent a GoPro Hero for Php 500 per day. We shared the boat with the other scuba divers. We were asked to choose between Sardine Run and Pescador Island. We chose the latter since it was known for the Thresher Sharks. I was looking forward to see one up-close. lol



Unfortunately, we weren’t able to see any Sharks. We weren’t allowed to go deeper than 30 feet. It was a fun experience and sad to say, I felt excruciating pain in my ears! I was having a hard time equalizing them. I guess I need to practice more. Hoping to go back there soon and dive in the Sardine Run. 🙂
P.S. The photos were taken using a camera phone and a GoPro Hero 3. Credits to Raynier Go for some of the photos that were used for this blog.













Where to next? 🙂
Planning to visit this island soon.. Is August a good month?
Wow! what a great Scuba Diving experience.